Local Service Overview

Get Red Ant Extermination in Waller, TX

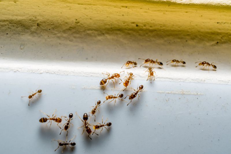
Red Ant Extermination services for Waller, TX, property owners address pest infestations, including ants, roaches, termites, and rodent control for residential and commercial properties.

Waller, TX

Red ant extermination services are a practical solution for property owners in Waller, TX seeking to maintain a safe and comfortable environment. These pests can invade lawns, gardens, and structures, causing nuisance and potential damage. Professional extermination helps eliminate red ant populations effectively, reducing the risk of bites and preventing them from establishing persistent colonies that can compromise the usability and safety of outdoor and indoor spaces.

Choosing expert pest control providers offers benefits such as enhanced property durability and improved curb appeal. Removing red ants minimizes the likelihood of structural damage and unsightly ant mounds, supporting the overall functionality of the property. Additionally, effective extermination can lead to reduced maintenance needs by preventing ongoing pest issues, helping property owners preserve their landscape and maintain a clean, inviting appearance.

Get Red Ant Extermination Quotes

  • Red Ant Extermination - Necessary when red ants invade homes or commercial properties in Waller, TX, and surrounding areas.
  • Red Ant Extermination - Suitable for eliminating red ant colonies that threaten gardens or landscaping in nearby neighborhoods.
  • Red Ant Extermination - Recommended when red ants are causing structural damage or persistent infestations in residential buildings.
  • Red Ant Extermination - Used to control red ant populations in outdoor recreational areas and parks in the region.
  • Red Ant Extermination - Needed when red ants become a recurring nuisance in commercial or industrial facilities in the local vicinity.

Get Red Ant Extermination Quotes

Red Ant Extermination
Red Ant Extermination
Red Ant Extermination

Red ant extermination services focus on identifying and eliminating red ant colonies that have invaded residential or commercial properties. These services typically involve thorough inspections to locate active nests and determine the extent of the infestation. Treatment methods may include targeted baiting, chemical applications, or other pest control techniques designed to eradicate red ants at their source. The goal is to reduce or eliminate the presence of these insects to prevent further damage or nuisance.

Red ants can pose several problems for property owners. They are known for their aggressive behavior and painful stings, which can be a concern for families, especially those with children or pets. Additionally, red ants can cause structural damage by nesting in wood or other building materials. Their presence can also lead to unsanitary conditions if they invade food storage or preparation areas. Addressing a red ant infestation promptly helps minimize these issues and restores a safe, comfortable environment.

Various types of properties utilize red ant extermination services, including single-family homes, apartment complexes, commercial buildings, and agricultural facilities. Residential properties often seek these services to protect their families and maintain a pest-free living space. Commercial establishments, such as restaurants or food storage facilities, require red ant control to ensure hygiene and compliance with health standards. Agricultural properties may also need assistance to prevent red ants from damaging crops or interfering with farming operations.

Professional pest control providers offer tailored solutions for red ant problems across different property types. They assess the specific conditions of each location and recommend appropriate treatment plans to effectively control and prevent future infestations. Property owners interested in red ant extermination can contact local service providers to explore options suited to their needs, ensuring a comprehensive approach to managing these pests.

The overview below groups typical Red Ant Extermination projects into broad ranges so you can see how smaller, mid-sized, and larger jobs often compare in Waller, TX.

In many markets, a large share of routine jobs stays in the lower and middle ranges, while only a smaller percentage of projects moves into the highest bands when the work is more complex or site conditions are harder than average.

Initial Inspection - The cost for an initial pest inspection typically ranges from $50 to $150, depending on property size and location. For example, a standard home in Waller, TX, might be charged around $75 for a comprehensive assessment.

Pest Treatment - Red Ant extermination services usually cost between $100 and $300 for treatment, with larger or more infested properties tending toward the higher end. A typical service for a medium-sized home might be around $200.

Follow-Up Services - Follow-up visits or treatments generally cost between $50 and $150 each, depending on the extent of the infestation and treatment complexity. Multiple visits may be necessary for persistent ant problems.

Package Deals - Some providers offer package pricing ranging from $250 to $600 for comprehensive pest control plans that include initial treatment and follow-up visits. Prices vary based on property size and specific service needs.

Actual totals will depend on details like access to the work area, the scope of the project, and the materials selected, so use these as general starting points rather than exact figures.

Get a Red Ant Extermination Quote

Ant Extermination - Local pest control providers offer specialized services to eliminate ant infestations in residential and commercial properties in Waller, TX and surrounding areas.

Carpenter Ant Removal - Service providers can identify and remove carpenter ants, preventing structural damage and ensuring property integrity.

Fire Ant Control - Experts in the area provide treatments to control fire ant populations and reduce their nuisance around homes and landscapes.

Odorous House Ant Solutions - Local pros offer targeted approaches to eliminate odorous house ants and prevent future invasions.

Argentine Ant Management - Specialists assist in controlling Argentine ant colonies, helping to protect gardens and indoor spaces.

Pavement Ant Control - Service providers address pavement ant issues that can disrupt outdoor areas and entryways, restoring safety and cleanliness.

Red Ant Extermination

When selecting professionals for red ant extermination services, it’s important to consider their experience in handling ant infestations similar to those encountered in Waller, TX and surrounding areas. Homeowners should look for local providers with a demonstrated history of effective red ant control, as well as a clear understanding of the pests' behavior and the most appropriate treatment methods. Reputable service providers often have established track records, which can be supported by references or reviews from previous clients, offering insight into their reliability and the quality of their work.

Clear written expectations are essential when engaging with local pros for ant extermination. Pros should be able to outline the scope of services, the methods they intend to use, and any preparations or follow-up steps required. Homeowners are encouraged to seek detailed information about what the service entails, ensuring there is a mutual understanding of the process. This transparency helps prevent misunderstandings and sets a foundation for a satisfactory experience with the chosen provider.

Effective communication is a key factor in selecting a reliable pest control professional. Local providers should be responsive to inquiries and willing to provide additional information or clarification about their services. Reputable contractors often maintain open lines of communication, making it easier for homeowners to ask questions or express concerns throughout the process. While the site introduces local options, it is important to remember that it is a neutral resource connecting homeowners with local pros, not a contractor or service provider itself.

Get a Red Ant Extermination Quote

Property owners in Waller, TX use Red Ant Extermination services for practical projects around their homes and businesses. The sections below highlight everyday jobs and straightforward project options.

Red Ant Extermination
Red Ant Extermination

Red ant extermination services are often sought by property owners in Waller, TX, dealing with persistent ant infestations that threaten the comfort and safety of their homes or businesses. These pests can invade living spaces, gardens, and outdoor areas, especially during warmer months, making it important to address the problem promptly. Local service providers can help identify the source of the ant activity and implement targeted treatments to eliminate colonies and prevent future invasions.

Property owners may also look for red ant extermination when noticing increased activity around foundations, patios, or landscaped areas. Red ants can sometimes pose a nuisance or even a risk if their bites cause allergic reactions. Professional extermination services in Waller, TX can offer effective solutions to manage these pests, helping to restore peace of mind and protect the integrity of the property.

Get a Red Ant Extermination Quote

How do exterminators eliminate red ants? Local pest control service providers typically use targeted treatments such as baits, sprays, or dusts to effectively remove red ant colonies from residential or commercial properties.

Are red ants dangerous? Red ants can deliver painful stings and may cause allergic reactions in some individuals; consulting with a local pest control professional can help address infestations safely.

How can I prevent red ant infestations? Professionals often recommend sealing entry points, removing food sources, and maintaining cleanliness to reduce the likelihood of red ant problems.

What signs indicate a red ant infestation? Visible ant trails, mounds in the yard, or increased ant activity indoors are common indications that a red ant infestation may be present.

How long does red ant extermination usually take? The duration depends on the size of the colony and the treatment method used; a local pest control provider can give more specific information based on the situation.

Red Ant Extermination Services - Local pest control providers offer specialized treatments to eliminate red ants from residential and commercial properties in Waller, TX.

Inspection and Identification - Professionals can assess infested areas to identify ant nests and determine the most effective removal strategies.

Preventive Solutions - Service providers can implement barriers and ongoing treatments to reduce the likelihood of future red ant invasions.

Customized Pest Management - Local experts tailor extermination plans to suit specific property needs and infestation levels.

Red Ant Extermination

Considering Red Ant Extermination for a property in Waller, TX? The sections above highlight common project types, practical options, and details that often shape the scope of work.

When you are ready, use the quote form to share a few details about your project. Local pros can review the basics and respond with options that match what you have in mind.

Get a Red Ant Extermination Quote

Red Ant Extermination Quotes

Our Trusted Partners
Cantu Pest Control
Orkin
Hawx Pest Control